- 技术文章
地下空洞与缺陷的无损探测解决方案
2024-11-04 10:18:08 来源:nyj2010
地下空洞与缺陷的无损探测解决方案
道路作为我们基础设施的重要组成部分,是日常交通和经济活动的关键枢纽。然而,潜藏于路面之下的空洞等缺陷,对道路的结构稳定性构成了严重威胁。这些缺陷往往悄无声息,直至引发严重后果,才被察觉。
道路空洞可能由多种因素形成,包括排水不良、环境因素和地下设施故障等。当地表水未能有效排出时,会积聚并逐渐渗入下层,削弱路基。此外,地下可溶性岩石溶解或地下采矿活动等也可能在路面下形成空洞。这些空洞可能导致路面塌陷、出现天坑等,进而威胁道路安全。
挑战
传统的检测道路地下缺陷的方法存在显著局限性:
侵入性和破坏性:如钻孔取芯或使用金属棒进行地面探测等方法,不仅会损坏道路表面且影响交通。
覆盖范围有限:多数传统方法仅能提供特定点的数据,可能遗漏路面其他部分的潜在缺陷。这种有限的覆盖范围无法全面评估地下状态。
仅关注表面层级:目视检查和测声技术仅能检测到可见或近表面的损伤。当裂缝或塌陷等表面缺陷出现时,潜在问题可能已发展到严重程度。这些方法往往无法揭示路面下问题的全部范围,导致潜在隐患得不到及时处理,直至问题恶化。
成本和时间限制:尤其是对于大面积区域,检测成本高昂且耗时较长。
决策延迟:信息不足可能导致修复工作延误,增加道路塌陷的风险和修复成本。
面临这些挑战,传统较多采取被动应对的方式,即在已经造成缺陷明显损害后才被发现,进而引发昂贵的维修费用,还会导致道路损坏。
解决方案
随着探地雷达(GPR)技术的不断进步,我们现在可以向主动维护迈进。探地雷达可提供实时、无损的地下成像,使我们能够探测并绘制地下空洞位置,及早发现潜在问题,并在其升级为重大安全隐患前予以解决。
巡鹰智检探地雷达Proceq GS8000和GS9000具备如下优势:
广泛的频率范围:为不同扫描深度提供了灵活性。GS8000的工作频率为40–3440 MHz,非常适合中深度探测和细节成像。GS9000配备可更换阵列天线,频率范围为30–750 MHz(用于深层扫描)和500–3000 MHz(用于高分辨率的浅层扫描)。这些特性为扫描不同深度提供了灵活性,可通过高分辨率成像准确探测出的空洞和异常。
与GNSS配合使用的自由路径:探地雷达系统与全球导航卫星系统(GNSS)配对后,无需传统测量网格即可运行,使过程更快、更灵活。这允许团队根据特定条件扫描区域,提高了数据采集的准确性。
实时现场处理(2D、3D):检测团队能够现场将地下的检测异常以3D可视化数据展示出来,有助于深入地了解复杂结构,提高准确性。同时,可进行实时数据处理并将结果反馈给决策层,加快了现场决策速度,使检查更加高效和安全。
应用案例
在某繁华城市的中心区域,一条主要道路近期完成了空洞填补工程。为确保填补质量,市政部门决定采用探地雷达进行复查。巡鹰智检Proceq GS9000以其广泛的频率范围和可更换阵列天线设计,成为此次复查任务的首选工具。
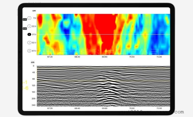
复查过程中,GS9000的高分辨率成像功能发挥了关键作用。通过切换至30–750 MHz频率范围,对整个路面采用自由路径采集,现场直接获得高清雷达切片图谱。
从上图某天线通道的雷达图谱中显示,整个深度范围内存在异常反射信号,这些异常高能量反射信号表明空洞填补并不充分,存在分层和非密实情况,甚至部分填补区域可能已经产生了扩张。
针对这一检测结果,市政部门立即采取了行动。他们根据GS9000提供的详细数据,确定了填补不充分和存在安全隐患的具体位置,并组织了施工队伍进行再次填补和加固。通过此次复查与补救措施,成功避免了未来可能出现的塌陷等安全隐患,确保了道路的安全性和稳定性。
新发布
扫一扫,手机浏览
















